Our Proposals

We believe this site provides an opportunity to create a well-designed community in Godstone that is in keeping with the character of the local area.  Our vision is for a neighbourhood that feels part of the village, shaped by green space and accessible to all.

The key features and benefits of the proposals include:

  • New homes for local people.  Up to 250 homes in a variety of sizes and styles, including nearly half as affordable housing, to help local families and young people stay in the area.

  • Green and leafy setting.  A landscape-led design with new trees, hedgerows, and open spaces, ensuring the development feels part of the countryside and provides places for recreation and play.

  • Better connections.  Safe walking and cycling routes linking to the wider village, alongside sustainable features such as electric vehicle charging and efficient and sustainable drainage systems.

  • A sustainable community. Homes built to high energy efficiency standards, supporting lower running costs and reduced environmental impact.

  • Infrastructure and community benefits.  Potential contributions to local services and facilities, such as health provision, to ensure new and existing residents benefit together.

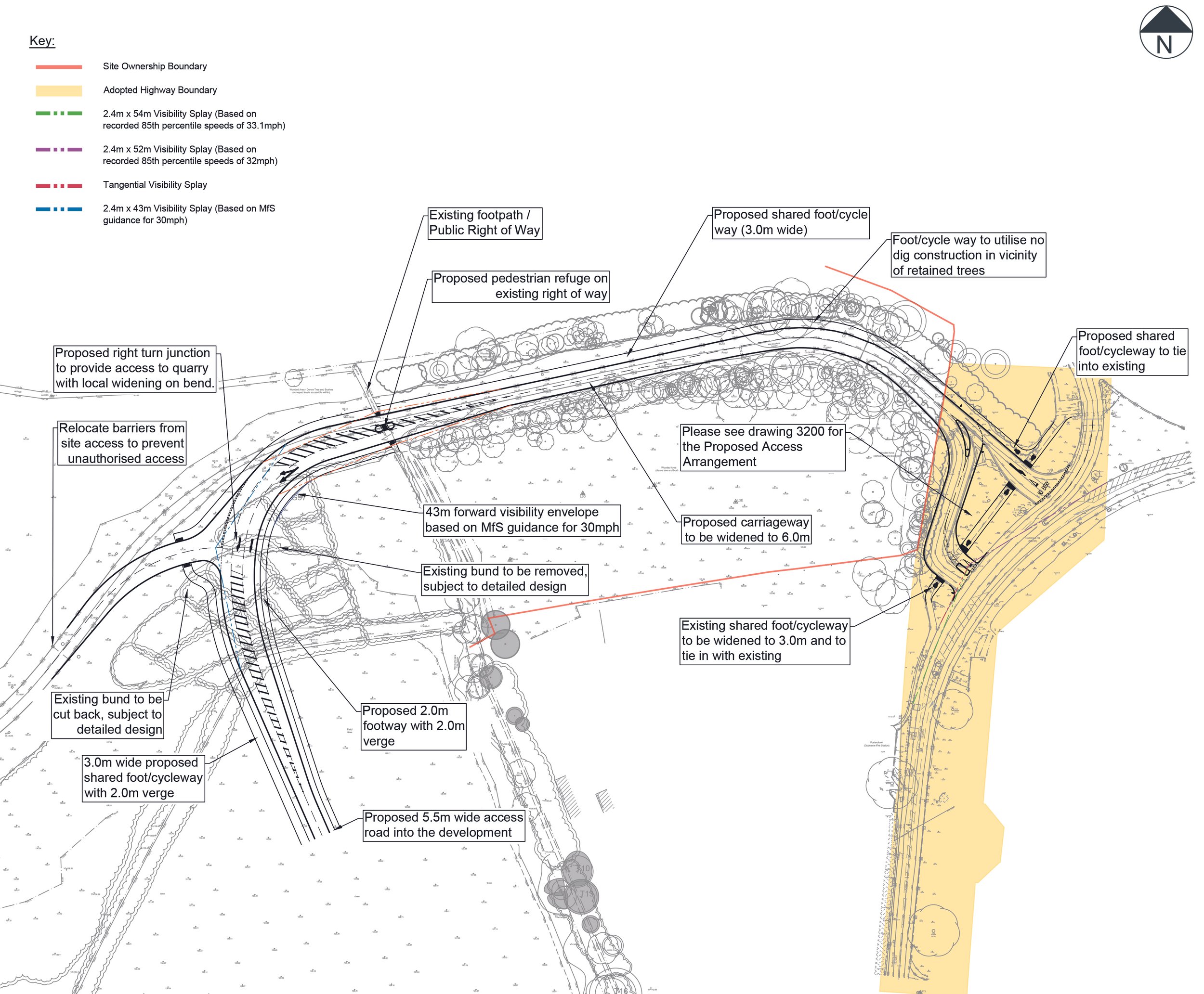
  • Thoughtful access.  Vehicle access via existing routes, carefully planned to minimise disruption and integrate with local roads.

Development Framework Plan

Click on plan to zoom in

Proposed Access Plan

Click on plan to zoom in